De Waal 18D te Best, hoogwaardige kantoorruimte op Bedrijventerrein Breeven!
Beschrijving
Locatie
De te huur aangeboden kantoorruimte met parkeerplaatsen gelegen aan De Waal 18D te Best, is gelegen binnen de Brainport regio op bedrijventerrein Breeven. Dit bedrijventerrein kenmerkt zich door de uitstekende bereikbaarheid en de aanwezigheid van een mooie mix tussen zowel kantoren, lichte industrie als logistieke bedrijven. In de omgeving zijn onder andere gevestigd; Heliox, Brabant Enginering, Matas Electronics, Dekracoat, SRP Zuid en Thermo King.
Bereikbaarheid
Bedrijventerrein Breeven te Best kent een uitstekende bereikbaarheid via de aansluitingen op de A2/N2, A58. Het ligt in de nabijheid van Eindhoven Airport en heeft een directe busverbinding met Station Best. Op loopafstand is het NH Hotel Best gevestigd. Op korte termijn zal het bedrijventerrein nog beter ontsloten worden door de aanleg van de Challenge variant.
OBJECTGEGEVENS
Beschikbare oppervlakte voor de verhuur
Circa 230 m² kantoorruimte (v.v.o.) - begane grond (inclusief toebedeling algemene ruimtes)
Parkeergelegenheid
4 parkeerplaatsen beschikbaar, gelegen op eigen parkeerterrein, aan de achterzijde van het kantoorpand aan De Waal 18D te Best, aanvullend gratis openbare parkeerplaatsen gelegen aan de openbare weg.
Opleveringsniveau kantoorruimte
• liftinstallatie
• systeemplafonds
• verlichting middels LED-inbouwarmaturen*
• daglichttoetreding middels raampartijen
• te openen ramen middels draai- / kiep systeem
• kunststof kozijnen voorzien van dubbele beglazing
• wand kabelgoten voorzien van aansluitingen t.b.v. data en elektra*
• vloerstofferingmiddels PVC visgraat
• huidige kamerindeling middels glaswanden, metal-stud wanden en systeemwanden*
• brandmeldinstallatie
• brandblusvoorzieningen
• gescheiden dames- en heren toiletgroep met voorportaal voorzien van fonteintje
• pantry voorzien van boven- en onderkasten, koelkast en boiler* (gedeeltelijk gebruik met de buren)
• verwarming middels Cv-installatie
• mechanische ventilatie
• topkoeling
Zaken aangegeven met "*" worden eenmalig en omniet door Verhuurder aan Huurder ter beschikking gesteld. Eventuele reparatie, onderhoud en-/of vervangen van deze zaken komt voor rekening en risico van Huurder.
Aanvaarding
Per direct.
Energielabel
Het kantoorgebouw beschikt over het zeer gunstige energielabel A+ welke geldig is tot 20-01-2032.
Hiermee voldoet het kantoorpand reeds ruimschoots aan de overheidsdoelstellingen waarbij vanaf 2023 alle utiliteitsgebouwen minimaal een energielabel C dienen te hebben.
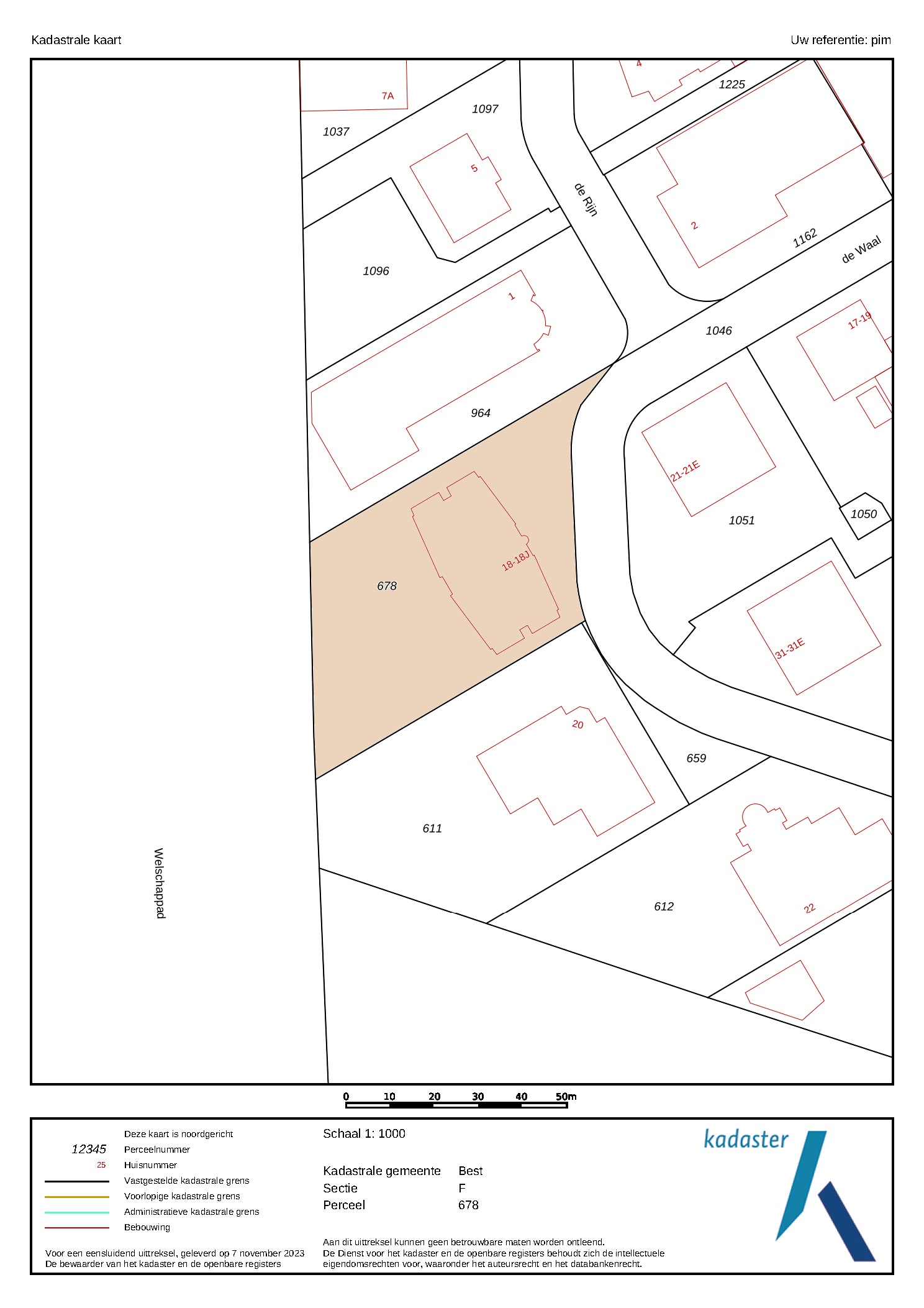
Kadastrale gegevens De Waal 18D te Best
Gemeente: Best
Sectie: F
Perceelnummer: 678
Oppervlakte: 3.287 m² (gedeeltelijk perceel)
Bestemmingsplan
Het bestemmingsplan van dit kantoorgebouw aan De Waal 18D te Best op Bedrijventerrein Breeven is op te vragen via één van onze bedrijfsmakelaars bij Bossers & Fitters Bedrijfshuisvesting B.V. en/of via de website van het omgevingsloket.
Bouwjaar
2000
Gerenoveerd
2025
HUURGEGEVENS
Aanvangshuurprijs
€ 80,00 per m² per jaar te vermeerderen met de geldende B.T.W.
Aanvangshuurprijs parkeerplaatsen
€ 350,00 per parkeerplaats per jaar te vermeerderen met de geldende B.T.W.
Huurtermijn
Vijf (5) jaren.
Verlengingstermijn
Telkens met vijf (5) jaar.
Opzegtermijn
Twaalf (12) maanden voorafgaand aan de expiratiedatum.
Huurindexering
De huurprijs van dit kantoorpand aan De Waal 18D te Best op Bedrijventerrein Breeven zal jaarlijks worden geïndexeerd, voor het eerst één jaar na huuringangsdatum, op basis van het maandprijsindexcijfer volgens de consumentenprijsindex CPI-alle huishoudens (2015=100), dan wel meest recente tijdsbasis, gepubliceerd door het Centraal Bureau voor de statistiek (CBS).
Zekerheidsstelling
Bankgarantie of waarborgsom ter grootte van drie (3) maanden huur inclusief servicekosten en B.T.W.
Huurbetaling
Per maand vooruit te voldoen.
B.T.W.
Indien huurder niet aan het “90% criterium” (aandeel belaste prestaties) voldoet, zal er van rechtswege sprake zijn van omzetbelasting vrijgestelde verhuur. Als dan wordt de overeengekomen kale huurprijs, exclusief omzetbelasting, zodanig verhoogd, dat het voor verhuurder ontstane financiële nadeel wordt gecompenseerd.
Huurcontract
R.O.Z.-model, huurovereenkomst kantoorruimte en andere bedrijfsruimte in de zin van artikel 7:230a BW met de benodigde aanvullingen.
Meer informatie
Wenst u meer informatie over deze beschikbare kantoorruimte welke te huur is in dit vrijstaande kantoorgebouw aan De Waal 18D te Best, neem dan vrijblijvend contact op met één van de bedrijfsmakelaars bij Bossers & Fitters Bedrijfshuisvesting B.V.
Onze bedrijfsmakelaar de heer Pim van der Werff is van alle beschikbare informatie op de hoogte betreffende de verhuur van deze kantoorruimte in dit kantoorpand aan De Waal 18D te Best.
Fotogalerij
Foto's
-
Tekeningen
-
Energielabel
Locatie
Adres
De Waal 18 D
5684 PH Best
Bedrijventerrein Breeven
Plan een bezichtiging
Contacteer onze bedrijfsmakelaar voor vragen over dit object of vraag een bezichtiging aan met de bedrijfsmakelaar.

- Bedrijfsmakelaar:
- Pim van der Werff
- E-mail: pim@bossers-fitters.nl
- Bel: +31 (0)6 39 66 91 60