Steenoven 4 B

5626 DK | Eindhoven

Steenoven 4B te Eindhoven, moderne bedrijfsruimte met kantoor en parkeren!

Beschrijving

Locatie

Deze te huur aangeboden representatieve bedrijfsruimte met kantoor en parkeren aan de Steenoven 4B te Eindhoven, is gelegen op Bedrijventerrein Kapelbeemd. Het betreft een kleinschalig en functioneel opgezet bedrijventerrein aan de westzijde van de stad met een goede ontsluiting richting de A2 en A67. Het terrein heeft een gemengd karakter en de kavels zijn overwegend compact wat het geschikt maakt voor ondernemers die geen grootschalige logistieke ruimte nodig hebben. Het terrein heeft een rustige representatieve uitstraling en richt zich vooral op lokaal en regionaal georiënteerde bedrijven actief in de handel, licht industrie en (technische) dienstverlening.

Bereikbaarheid

Bedrijventerrein Kapelbeemd te Eindhoven is gelegen aan de drukke doorgaande weg Boschdijk en gelegen nabij de A2/N2, A58 en de A50. Middels diverse buslijnen is het terrein goed te bereiken vanaf Centraal Station Eindhoven, Eindhoven Airport en Station Best.

OBJECTGEGEVENS

Beschikbare oppervlakte voor de verhuur

Circa 411 m² totaal - verdeeld over 2 bouwlagen
Circa 316 m² bedrijfsruimte - begane grond
Circa 95 m² kantoorruimte - over twee bouwlagen

Parkeergelegenheid

4 parkeerplaatsen beschikbaar aan de voorzijde van het bedrijfspand, aanvullend gratis openbare parkeerplaatsen gelegen aan de openbare weg in de directe omgeving.

Opleveringsniveau bedrijfsruimte

  • vrije hoogte van circa 6,5 meter
  • volledig vrije overspanning
  • maximaal toelaatbare vloerbelasting van circa 2.500 kg / m²
  • 1 handmatig bedienbare overheaddeur
  • 1 loopdeur
  • krachtstroomaansluiting aanwezig
  • monolithisch afgewerkte betonvloer
  • verlichting middels opbouwarmaturen
  • alarminstallatie *
  • brandblusvoorzieningen
  • toilet met voorportaal voorzien van fonteintje
  • verwarming middels direct gestookte heater

Opleveringsniveau kantoorruimte

  • systeemplafonds
  • verlichting middels inbouwarmaturen
  • te openen ramen middels draai / kiep systeem
  • aluminium kozijnen voorzien van dubbele beglazing
  • wand kabelgoten voorzien van aansluitingen voor data en elektra *
  • laminaat *
  • huidige kamerindeling middels systeemwanden *
  • alarminstallatie *
  • brandblusvoorzieningen
  • toilet voorzien van fonteintje
  • pantry *
  • verwarming middels Cv-installatie met radiatoren

Aanvaarding

Juli 2026

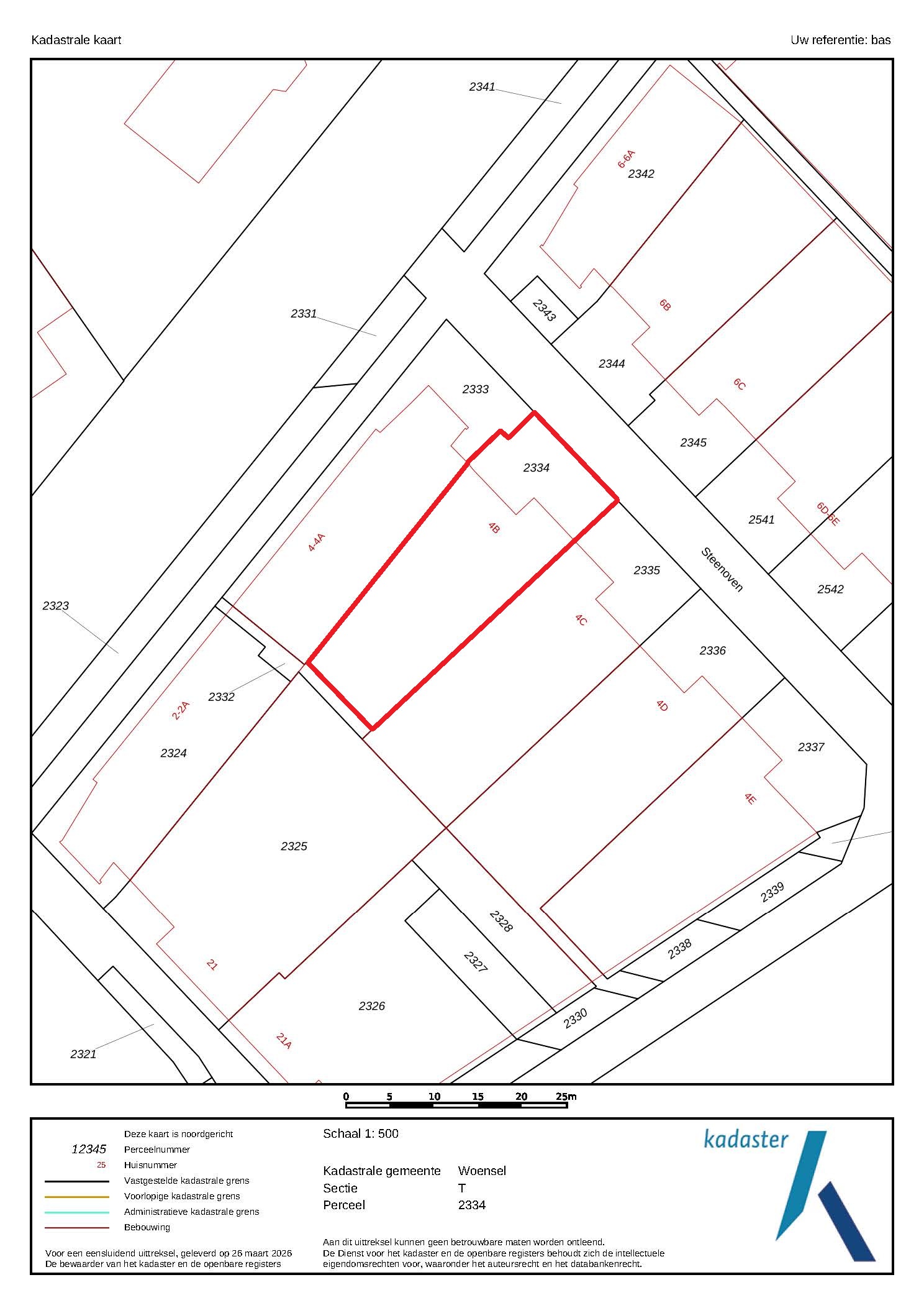
Kadastrale gegevens Steenoven 4B te Eindhoven

Gemeente: Woensel
Sectie: T
Perceelnummer: 2334
Oppervlakte: 500 m² (geheel perceel)

Bestemmingsplan

Het bestemmingsplan van dit bedrijfsgebouw aan de Steenoven 4B te Eindhoven op Bedrijventerrein Kapelbeemd is op te vragen via één van onze bedrijfsmakelaars bij Bossers & Fitters Bedrijfshuisvesting B.V. en/of via de website van het omgevingsloket.

Bouwjaar

2000

HUURGEGEVENS

Aanvangshuurprijs

€ 35.000,00 per jaar te vermeerderen met de geldende B.T.W.

Voorschot servicekosten

Nader overeen te komen.

Huurtermijn

Vijf (5) jaren.

Verlengingstermijn

Telkens met vijf (5) jaar.

Opzegtermijn

Twaalf (12) maanden voorafgaand aan de expiratiedatum.

Huurindexering

De huurprijs van dit bedrijfspand aan de Steenoven 4B te Eindhoven op Bedrijventerrein Kapelbeemd zal jaarlijks worden geïndexeerd, voor het eerst één jaar na huuringangsdatum, op basis van het maandprijsindexcijfer volgens de consumentenprijsindex CPI-alle huishoudens (2015=100), dan wel meest recente tijdsbasis, gepubliceerd door het Centraal Bureau voor de statistiek (CBS).

Zekerheidsstelling

Bankgarantie of waarborgsom ter grootte van drie (3) maanden huur inclusief eventuele servicekosten en B.T.W.

Huurbetaling

Per kwartaal vooruit te voldoen middels automatische incasso.

B.T.W.

Indien huurder niet aan het “90% criterium” (aandeel belaste prestaties) voldoet, zal er van rechtswege sprake zijn van omzetbelasting vrijgestelde verhuur. Als dan wordt de overeengekomen kale huurprijs, exclusief omzetbelasting, zodanig verhoogd, dat het voor verhuurder ontstane financiële nadeel wordt gecompenseerd.

Huurcontract

R.O.Z.-model, huurovereenkomst kantoorruimte en andere bedrijfsruimte in de zin van artikel 7:230a BW met de benodigde aanvullingen.

Meer informatie

Wenst u meer informatie over deze beschikbare bedrijfsruimte met kantoor en parkeren welke te huur is aan de Steenoven 4B te Eindhoven, neem dan vrijblijvend contact op met één van de bedrijfsmakelaars bij Bossers & Fitters Bedrijfshuisvesting B.V.

Onze bedrijfsmakelaar de heer Bas Deitmers RM RT is van alle beschikbare informatie op de hoogte betreffende de verhuur van dit bedrijfspand aan de Steenoven 4B te Eindhoven.

Locatie

locationAdres

Steenoven 4 B

5626 DK Eindhoven

Bedrijventerrein Kapelbeemd

Plan een bezichtiging

Contacteer onze bedrijfsmakelaar voor vragen over dit object of vraag een bezichtiging aan met de bedrijfsmakelaar.

Deel dit object:

* Verplicht veld