Zuid Koninginnewal 49, Helmond, winkel-/kantoorruimte in karakteristiek gebouw op centrumlocatie!
Beschrijving
Locatie
De te huur aangeboden winkel-/kantoorruimte aan de Zuid Koninginnewal 49 te Helmond, is gelegen op een toplocatie in het centrum en op loopafstand van bushalte en treinstation. Het gebouw, Rijksmonument, is gebouwd in 1873-1875 als Fraterhuis-School naar een ontwerp van architect H.J. van Tulder. Het bestaat uit een commerciële plint met daarboven appartementen. De omgeving kenmerkt zich door de aanwezigheid van hoofdzakelijk winkels, woningen en horeca.
Bereikbaarheid
Het object is zowel met het openbaar als met eigen vervoer goed bereikbaar. Treinstation Helmond (Eindhoven-Venlo) ligt op loopafstand en direct voor de deur is een bushalte gelegen. Via de N270 en A67 is het object per auto goed te bereiken vanuit zowel Eindhoven als Deurne. In de nabijheid zijn ruim voldoende openbare betaalde parkeermogelijkheden. Zoals parkeergarage Doorneind (470 parkeerplaatsen) op circa 190 meter afstand.
OBJECTGEGEVENS
Beschikbare oppervlakte voor de verhuur
Circa 239 m² winkel-/kantoorruimte - op de begane grond
Parkeergelegenheid
Ruimschoots openbare betaalde parkeerplaatsen aanwezig in de directe omgeving.
Opleveringsniveau winkel-/kantoorruimte
• dubbele toegangsdeur
• meterkast met nutsvoorzieningen
• systeemplafonds (deels) *
• verlichting middels spots *
• hoofdzakelijk houten kozijnen voorzien van dubbele beglazing
• alarminstallatie *
• achterdeur
• toilet met voorportaal voorzien van fonteintje *
• pantry *
• verwarming middels Cv-installatie met radiatoren, warmtegordijn en diverse plafondroosters*
• containerruimte voor gezamenlijk gebruik
Zaken aangegeven met "*" worden eenmalig en omniet door Verhuurder aan Huurder ter beschikking gesteld. Eventuele reparatie, onderhoud en-/of vervangen van deze zaken komt voor rekening en risico van Huurder.
Gemeenschappelijk met andere huurders
• containerruimte (niet te gebruiken als fietsenstalling of opslag)
Aanvaarding
Per direct.
Energielabel
De winkelruimte beschikt over het energielabel C welke geldig is tot 22-01-2036.
Hiermee voldoet het winkelpand reeds aan de overheidsdoelstellingen waarbij vanaf 2023 alle utiliteitsgebouwen minimaal een energielabel C dienen te hebben.
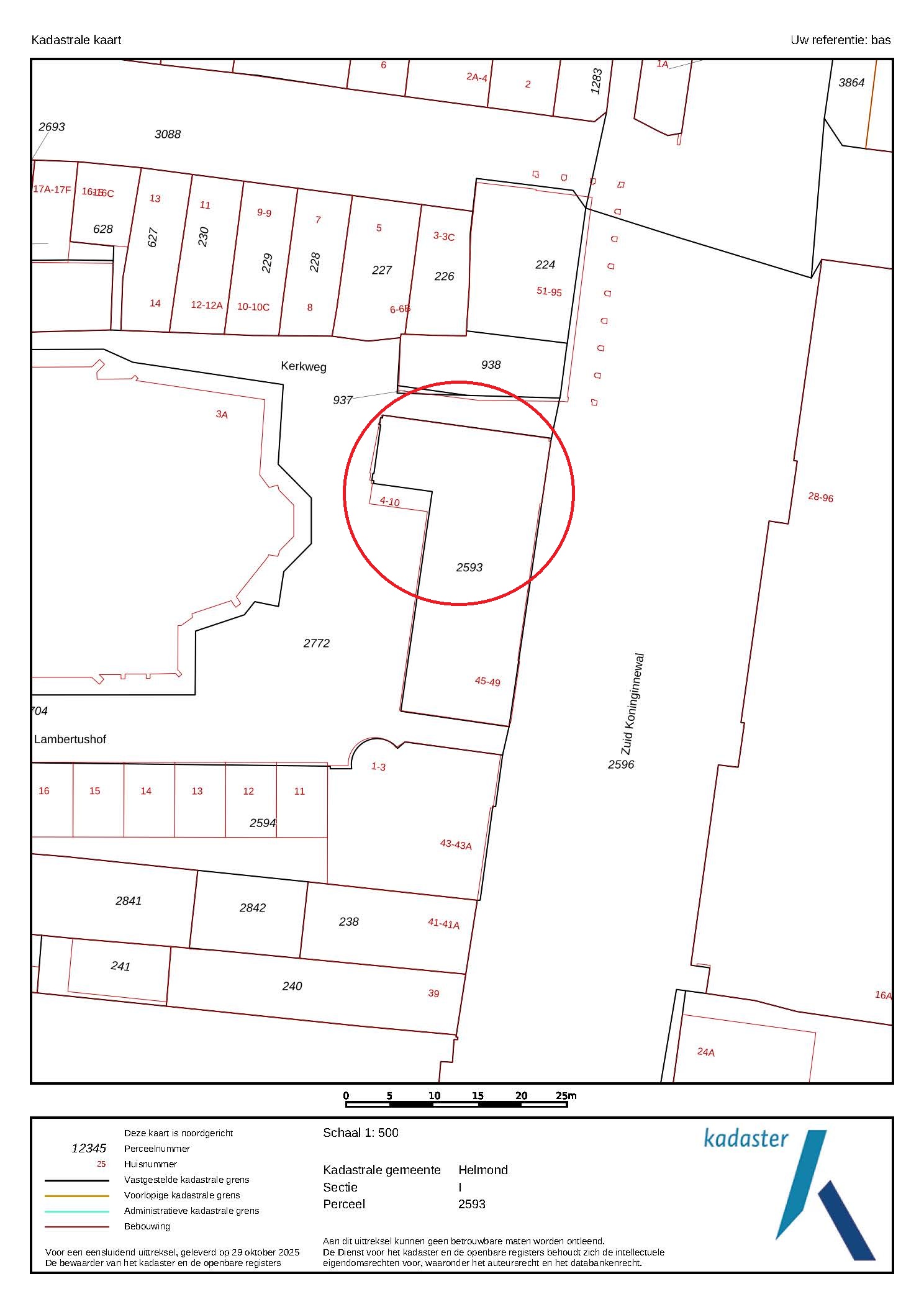
Kadastrale gegevens Zuid Koninginnewal 49 te Helmond
Gemeente: Helmond
Sectie: I
Perceelnummer: 2593
Complexnummers: 2606, A3 en A4
Bestemmingsplan
Het bestemmingsplan van dit object aan de Zuid Koninginnewal 49 te Helmond is op te vragen via één van onze bedrijfsmakelaars bij Bossers & Fitters Bedrijfshuisvesting B.V. en/of via de website van het omgevingsloket.
Bouwjaar
1875
Gerenoveerd
2001
Bijzonderheden
Horeca is niet toegestaan.
Onderverhuur is niet toegestaan.
HUURGEGEVENS
Aanvangshuurprijs
€ 50.000,00 per jaar te vermeerderen met de geldende B.T.W.
Huurtermijn
Vijf (5) jaren.
Verlengingstermijn
Telkens met vijf (5) jaar.
Opzegtermijn
Twaalf (12) maanden voorafgaand aan de expiratiedatum.
Huurindexering
De huurprijs zal jaarlijks worden geïndexeerd, voor het eerst één jaar na huuringangsdatum, op basis van het maandprijsindexcijfer volgens de consumentenprijsindex CPI-alle huishoudens (2015=100), dan wel meest recente tijdsbasis, gepubliceerd door het Centraal Bureau voor de statistiek (CBS).
Zekerheidsstelling
Bankgarantie of waarborgsom ter grootte van drie (3) maanden huur inclusief eventuele servicekosten en B.T.W.
Huurbetaling
Per kwartaal vooruit te voldoen.
B.T.W.
Indien huurder niet aan het “90% criterium” (aandeel belaste prestaties) voldoet, zal er van rechtswege sprake zijn van omzetbelasting vrijgestelde verhuur. Als dan wordt de overeengekomen kale huurprijs, exclusief omzetbelasting, zodanig verhoogd, dat het voor verhuurder ontstane financiële nadeel wordt gecompenseerd.
Huurcontract
R.O.Z.-model, huurovereenkomst kantoorruimte en andere bedrijfsruimte in de zin van artikel 7:230a BW met de benodigde aanvullingen.
Meer informatie
Wenst u meer informatie over deze beschikbare winkel-/kantoorruimte aan de Zuid Koninginnewal 49 te Helmond, neem dan vrijblijvend contact op met één van de bedrijfsmakelaars bij Bossers & Fitters Bedrijfshuisvesting B.V.
Onze bedrijfsmakelaar de heer Bas Deitmers RM RT is van alle beschikbare informatie op de hoogte.
Fotogalerij
Foto's
-
Tekeningen
-
Energielabel
Locatie
Adres
Zuid Koninginnewal 49
5701 NS Helmond
Centrum van Helmond
Plan een bezichtiging
Contacteer onze bedrijfsmakelaar voor vragen over dit object of vraag een bezichtiging aan met de bedrijfsmakelaar.
- Bedrijfsmakelaar:
- Bas Deitmers RM RT
- E-mail: bas@bossers-fitters.nl
- Bel: +31 (0)6 13 35 25 49